Ook bekend als: Chinese linde; Gewimperde linde
De Tilia henryana is een uitstekende drachtboom voor bijen. Ze worden aangetrokken door de geurende bloemen die zorgen voor nectar en stuifmeel. Maar de boom trekt onder andere ook vlinders, lieveheersbeestjes en vele vogelsoorten aan. Deze kleine boom wordt zo’n 10-15 meter hoog en 8-12 meter breed. Hij vormt een breed ovale tot ronde kroon.
Chinese linde, behoort tot de familie van Malvaceae (de kaasjeskruidfamilie). De Chinese linde vindt zijn oorsprong, zoals de naam al doet vermoeden, in China.
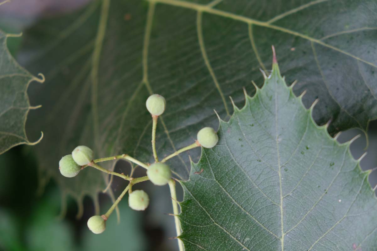
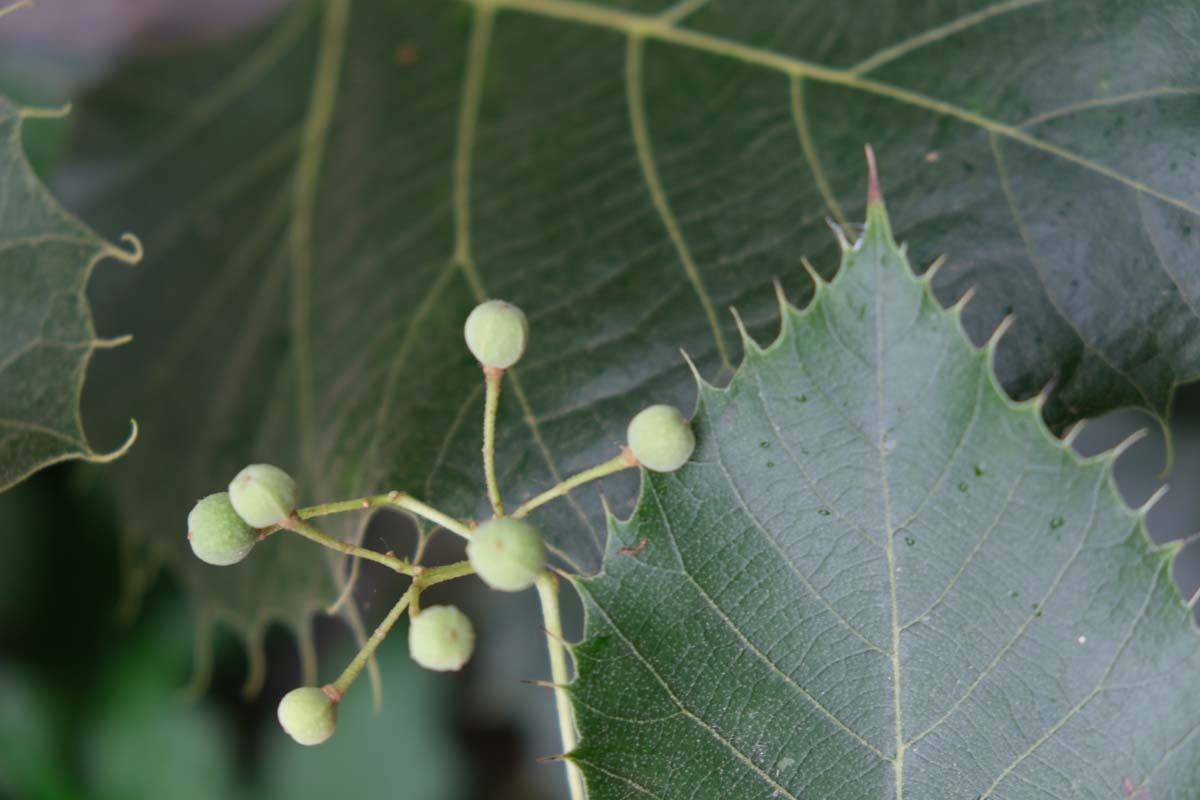
De Tilia henryana is een zeer aparte linde met een hoge sierwaarde. De jonge twijgen zijn aanvankelijk sterharig, maar later kaal. Deze soort is direct herkenbaar aan zijn bladeren met grote naaldvormige tanden. Het jonge blad is zeer dicht bezet met zilverkleurige sterharen en heeft een bronsachtige kleur. Later wordt het blad aan de bovenzijde glanzend groen met lichte nerven. De onderzijde is met bruine sterharen en okselbaarden bedekt. Het verspreid staande blad is breed eivormig met een scheef hartvormige basis en krijgt in de herfst een mooie geeloranje kleur. De Chinese linde bloeit pas in augustus-september met geelwitte geurende bloemen die met 20 of meer in lange, hangende tuilen staan. De eivormige nootjes zijn grijsgroen en hebben 5 ribben. De boom geeft de voorkeur aan een zonnige tot licht beschaduwde standplaats op goed doorlatende grond. Hij is goed bestand tegen warme zomers en kan vrij goed tegen de vorst (zone 7).
De Tilia henryana is het beste toe te passen als solitair in tuinen en parken. Met zijn decoratieve blad en rijke bloei is het een echte sierboom. De snoeiperiode voor deze boom is in december-februari.
Tilia henryana kopen bij boomkwekerij Den Mulder Boomteelt
Den Mulder Boomteelt in Grubbenvorst is gespecialiseerd in het kweken van bomen en heesters en heeft meer dan 2.000 soorten uit eigen kwekerij. Bij Den Mulder Boomteelt koopt u rechtstreeks bij de kweker, die u direct kan adviseren over teelt, aanplant en verzorging. Bekijk alle
Tiliasoorten in ons assortiment.
Deze plant is ook verkrijgbaar als:
Plantenkenmerken
Herkomst
| Botanische benaming | Tilia henryana dakboom |
|---|---|
| Nederlandse benaming(en) | Chinese linde; Gewimperde linde |
| Gewasgroep | Bomen |
| Familie | Malvaceae, Kaasjeskruidfamilie |
| Herkomst | Centraal-China |
| Extra informatie | Trees and Shrubs Online |
Vorm / Maat
| Natuurlijke vorm | Piramidaal, Ovaalvormig |
|---|---|
| Volwassen hoogte | 10 m-15 m m |
| Volwassen breedte | 8-12 m |
Plantkenmerken
| Bladkleur | Groen |
|---|---|
| Wintergroen | Bladverliezend |
| Herfstverkleuring | Geel, Oranje, Opvallende herfstverkleuring |
| Bloemkleur | Wit, Opvallende bloei |
| Groeikracht | Traaggroeiend |
| Bloeiperiode | Augustus, September |
| Vruchtkleur | Grijs, Groen |
| Biodiversiteit | Drachtplant voor bijen en/of hommels, Waardplant voor insecten |
Standplaats
|
Winterhardheid
Meer over >winterhardheid
|
Matig (zone 8) |
|---|---|
| Lichtbehoefte | Zonnig, Halfschaduw |
| Grondsoort | Licht (zandig), Medium (lemig), Zwaar (kleiig), Veen |
Verharding
|
Verdraagt geen verharding |
| Windbestendigheid | Verdraagt wind |




