Ook bekend als: Sneeuwbal
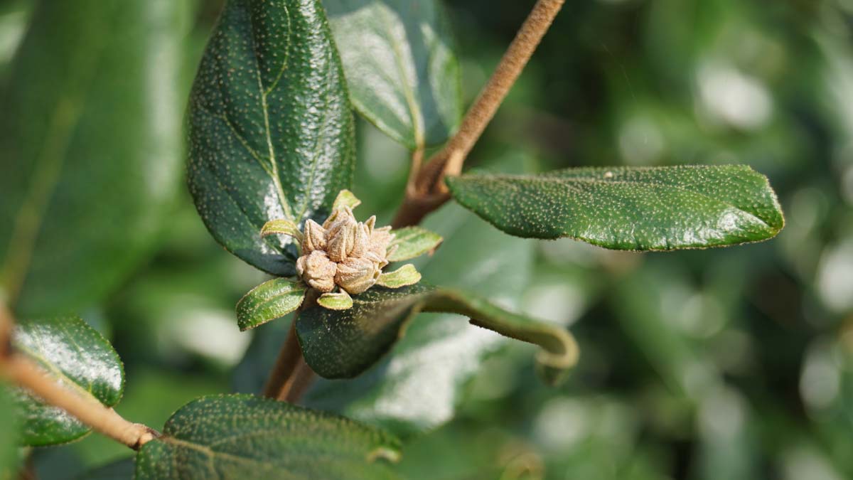
Wie zich een beetje verdiept in het geslacht Viburnum, komt opvallend vaak frases tegen als ‘heerlijk geurende bloesem’, ‘schitterende bolvormige bloem’, ‘drachtplant voor bijen en hommels’ of ‘hoge sierwaarde’. Bij Viburnum burkwoodii blijft de naald in precies dezelfde groeven van het vinyl hangen. In zijn bloeiperiode verspreiden de honderden kleine, in bollen verzamelde bloemetjes een overweldigende geur. Absoluut onweerstaanbaar voor bezige bijen en hommels. Vanaf april zoemt het dan ook letterlijk van alle activiteit om hem heen. Als hij in je tuin zijn maximale lengte van zo’n 3 meter bereikt, is al die drukte natuurlijk een lust voor het oog en een pleister op het hart: het gaat deze gevleugelde bezoekers van jouw plant in elk geval goed.
Je zet deze sneeuwbal het best in voedzame, zure, vochthoudende grond op een plekje met voldoende zon of lichte schaduw. Het is een prachtige sierheester die met name geschikt is voor de wat grotere tuinen. Hij wil nog wel eens wat plaats opeisen en zoiets weiger je Viburnum burkwoodii niet. Bovendien is hij erg onderhoudsvriendelijk want je hoeft hem niet te snoeien. Wanneer op hogere leeftijd de intensiteit van zijn bloei afneemt, snoei je een aantal oude takken vlak boven de grond af en herhaal dat jaarlijks, dan heb je binnen enkele jaren een volledig verjongde plant.
De burkwoodii is een soort hybride van Viburnum en ontstaan uit zijn ouders Viburnum utile en Viburnum carlesii . Deze soort voor het eerst ontsproten in Kingston on Thames, een schitterend gebied net buiten London dat vooral in trek (en betaalbaar) is voor mensen met diepe zakken. “Posh” zou een goede omschrijving zijn. Deze plant is dat ook maar op een prettige manier: hij bloeit uitbundig maar voedt zowel insecten als vogels. Hij heeft weliswaar de ruimte nodig, maar eist weinig aandacht en beloont jou en je tuin met zijn enorme sierwaarde. Planten dus, deze mooie sneeuwbal.
Bestel een Viburnum burkwoodii bij Den Mulder Boomteelt
Den Mulder Boomteelt in Grubbenvorst is gespecialiseerd in het kweken van bomen en heesters en heeft meer dan 2.000 soorten uit eigen kwekerij. Bij Den Mulder Boomteelt koopt u rechtstreeks bij de kweker, die u direct kan adviseren over teelt, aanplant en verzorging. Bekijk alle Viburnum soorten in ons assortiment.
Deze plant is ook verkrijgbaar als:
Plantenkenmerken
Herkomst
| Botanische benaming | Viburnum burkwoodii |
|---|---|
| Nederlandse benaming(en) | Sneeuwbal |
| Gewasgroep | Heesters |
| Familie | Adoxaceae, Muskuskruidfamilie |
| Herkomst | hybride |
| Extra informatie | Trees and Shrubs Online |
Vorm / Maat
| Natuurlijke vorm | Rondvormig, Ovaalvormig |
|---|---|
| Volwassen hoogte | 2.5 m-3 m m |
Plantkenmerken
| Bladkleur | Groen |
|---|---|
| Wintergroen | Bladverliezend |
| Herfstverkleuring | Oranje, Geel |
| Bloemkleur | Wit, Opvallende bloei |
| Groeikracht | Gemiddelde groeisnelheid |
| Bloeiperiode | April, Mei |
| Vruchtkleur | Rood, Zwart |
| Biodiversiteit | Drachtplant voor bijen en/of hommels, Schuil- en nestplaats, Voedselplant voor vogels, Waardplant voor insecten |
Standplaats
|
Winterhardheid
Meer over >winterhardheid
|
Goed (zone 6) |
|---|---|
| Lichtbehoefte | Zonnig, Halfschaduw |
| Grondsoort | Licht (zandig), Medium (lemig), Zwaar (kleiig), Veen |
| Ph-waarde bodem | Kalkrijke grond, Zure grond |
Verharding
|
Verdraagt geen verharding |
| Windbestendigheid | Verdraagt wind matig |




